嵐の去った海で   釣りをしてみた 令和3年10月3日

天候(晴れ)                                  相馬港



台風で荒れた相馬港

巨大な台風が太平洋を通過した週末に釣りに来ました
海が荒れた後は釣れると聞いたからです






 

波は立っているが穏やかです                   港を出入りする漁船

午前中は所用で動けなかったために!
郡山を出たのはPM12時だ

港に着いたのは2時 急いで準備をして釣り開始・・・笑





 

今日のサビキ仕掛け                     釣り人は少ない

今日もサビキで餌を釣り泳がせ仕掛けで狙うは大物です





 

大きなタモ                            泳がせ仕掛け竿

大きなタモを用意してあるが暫く使っていません!
穂先が揺れているが生きのいいアジが泳いでる為でアタリではない様だ






 

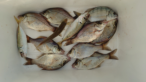
忙しげな船                         釣れた魚

あっという間に撤収時間が来てしまいました
6時までには戻らなくてはならない

此処までの往復は4時間で糸を垂らした時間は2時間です
それまでして釣りをしたかったのか理解不能の嵐の様な経過でした





             

捌いた魚                               甘煮出来上がり

釣った魚はコケラを落とし切り身を入れて甘煮を作ります
ホクホクの白身は味もしみ込んで良い出来上がりでした





動画をごらんくださいね!



戻る